So the last spot of the day is Coral Gardens actually only about a 10minute ride from the previous one, which is good so we can get strict back out although it’s long enough to have to take the stinger suit off and what a pain that is to put back on when it is soaking through!
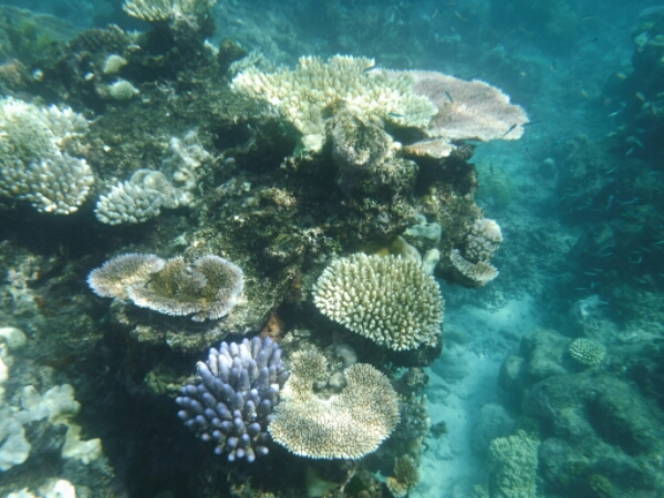
The last spot is the second favourite and is the most beautiful of the day as the coral is all so shallow and actually does look like a garden with all the shapes and sizes of it – some in the shapes of flowers and some like big underwater bushes. Snorkelling around this part you do have to be careful not to knock any of the coral since they are so shallow and current is strong and pushes you directly over them constantly so feet always up.
The plus side of being so close to the coral is you get to see all the tiny fish living and eating within them and the different type of fish is really amazing. It is cool also as you swim above the shallow coral, to suddenly have in an instant a deep drop and cave looking area of coral , which when you look into has bigger and different types of fish. It is the sort of place you could snorkel for hours and even going over the same areas of coral, each time see completely different fish.
At the start of the snorkel there is a guided reef tour, with one of the crew pointing out some of the interesting things to see, one of which is a live coral piece that looks like a golden slug with grooves. he passes it around and surprised at how heavy it is. He shows us all how to know it is alive, as it has a weird see through jelly oozing from one end (yuk!).
The other thing the guide shows is a jellyfish and says that usually when they are rounded they are safe, but it is when they are different shapes or boxes (hence the box jelly fish) when they tend to be dangerous and to watch out for them.
The biggest and most interesting sighting for this spot is right at the end, a large sting ray moving along the bottom in one of the deeper parts, which would be good if you were diving to et close. Otherwise with the diving here, you probably see the same as when Im snorkelling about I keep seeing the divers all underneath me. Overall a great day snorkelling and totally addicted to being in the water seeing all the marine life and now able to catch them all o my new underwater camera toy haha.
10th March 2016















