Managing to make the boat all Ok, I head to the Marina where the Tusa boat leaves at 8am and first impressions are the crew and boat are nice, not too big either. The weather is a bit grey, but as you go out to the outer reef the weather is always better (away from the mountains of Cairns). So doing an Intro Dive to build up my confidence more, my guide is Matt and we are in a group of four. He is good and takes us through the location area and what we will need to do, which al seems quite relaxed while we enjoy cake and coffee on the deck.
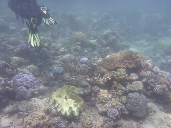
It takes about an hour and half to get to the first dive site of HASTINGS REEF – the FishBowl which is beautiful and seeing the coral underwater is more breathtaking than I expected. Matt does everything for us, losing up our gear and all we need to worry about is the 3 basic skills of breathing without a regulator, finding the regulator and clearing your mask. It all goes well and seem to slip into the dive quite easily, encouraging me to actually pay more to do one more de in the afternoon. For the first dive they don’t allow any underwater cameras due to needing to do the skills (which I hired for $45 -20 GBP), but get a chance to get some amazing pics after as have an hour to snorkel after the dive where I see a reef shark and a turtle, plus amazing fish of all colours.
After lunch, we head to the second dive site which is MICHAELMAS BAY and just as pretty, but not as abundant with marine life apart from a cool tiny eel Matt points out living in the coral and low fish . The dive goes well and quite comfortable apart from the last 5minutes, where my mask doesn’t fit to my face that well (as I have such a small head!) and so keeps leaking water in, which is the most annoying thing when you have sensitive eyes. I have a few guest do it, but not really helping Matt takes us back up as we were near the end of it anyway. After we are up and out of the tank we get another chance to snorkel, which is nice and actually think for this particular site that snorkelling is better since you can see see all the scuba divers directly underneath you so both seeing the same thing. Good to do to build up my experience, but not the best value for trying to see the reef.
The way back after snorkelling and diving, is pretty nice with some sunshine and luckily all day the water has been flat and like glass, as when it is choppy on the reef the boats are meant to e horrible! It’s nice to sit at the front of the boat watching the ride back and there are some interesting people to chat to along the way, who are much older so nice for a change haha.
























