So booked up a final snorkelling trip to make the most of the Great Barrier Reef, while I’m in Cairns and because my Ocean Safari jet boat going to a completely different part of the reef near Cape Tribulation was cancelled due to weather. I booked up the Silver Swift due to it being the only boat that goes out to the outer reefs near Fitzroy Island to the Flynn Reef, so definitely means I wouldn’t have already visited there and I get to see more of the reef to compare against. It was also the boat the Linzi from Uncle Brians worked on for awhile and she said that it is one of the best and fastest boats out there, with the most exclusive licences for the reef too.
With an 8.30am departure time, but a 7.30am check-in it is an early start and bit of scare when I only wake up at 7.30am due to my phone battery dying and at this stage not aware that the boat doesn’t leave until 8.30am until I call them, so thinking it might be touch and go to get the boat if it was to leave at 7.45am or even 8am like most of the boats do. Plus I have to check out and that in it’s self a big and slow task if it is busy. Luckily for me (again) it isn’t busy at reception and can do a quick checkout and storing of luggage.
So arrival at the marina, in the Fleet building to check in and collect the tickets is quite different to my trip on Tusa where you had straight to the boat. The boat when I get to it, is also bigger than Tusa and is organised very differently, maybe slightly more organised with diving and snorkelling briefings. There are teas and coffees at hand and a few muffins, great for getting the sugars up, as it is about hour half boat ride to the first stop. This gives me time to set-up the new underwater camera I have invested in and understand from a few others on how to make it work ready for the first snorkel. Shame I can’t dive, due to flying out out of Perth late and the pressure as must leave 24hours after a scuba dive before getting on a plane.
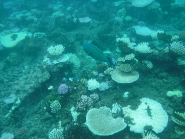
So the first stop in the Flynn Reef is Tracys Bommie and this is very cool site, different to the TUSA as the floor of the sea and coral in really nice. The divers all get a briefing, which s interesting to listen to, so I know what to expect in future with dives and to build my knowledge up. Some even have their own gear and cylinders so must be quite professional. Here you have to swim with a buddy more than yo do a guide and that was expensive to add on actually. Will be much better when I have my full certificate and confidence to be able to go “guide less”. The waters here are so warm at 29 and really flat and calm. The sun even comes out, which is great considering it was raining when we left Cairns, but Cairns gets so much rain in order to keep the amazing forests and it is right next large mountains.
The main marine life seen at the first stop is fish, mainly Parrot Fish fish which are interesting as they apparently eat the coral and then digest it and dispose of it into sand so all the time you see them you can see them releasing sand into the water.
After the snorkel the guuides give a talk about what fish were in Tracy’s and mentioned Butterfly Fish fish, which are yellow and have a black spot to look like a fake eye to predators. They tend to stay in pairs and are with their companion fish for their whole lifetime and a bit like Romeo and Juliet, if one dies so does the other.
A few of the others on the boat did say they saw reef sharks, which I didn’t so something to look out for at the next 2 dive spots.
10th March 2016
















